【文獻精選】2019年1月華美CUSABIO產品引用文獻精選
日期:2019-01-28 15:49:38

ELISA KIT 1
Journal of Allergy and Clinical Immunology(IF=13.258)
文獻標題:
Role of Interleukin-35 in sublingual allergy immunotherapy.
產品信息:
人白介素35(IL-35) ELISA Kit (CSB-E13126h)
檢測范圍:62.5 pg/mL-4000 pg/mL.
靈敏度:15.6 pg/mL.

ELISA KIT 2
NATURE COMMUNICATIONS(IF=12.353)
文獻標題:
Malonylation of GAPDH is an inflammatory signal in macrophages.
產品信息:
小鼠丙二酸單酰輔酶A(malonyl CoA) ELISA kit (CSB-E12896m)
檢測范圍:0.156 ng/mL-10 ng/mL.
靈敏度:0.039 ng/mL.

PROTEIN 1
Nature Microbiology(IF=14.174)
文獻標題:
產品信息:
Recombinant Pseudomonas aeruginosa Regulatory protein RhlR(rhlR) (CSB-EP346531EZX)
來源:E.coli
標簽:N-terminal 10xHis-SUMO-tagged and C-terminal Myc-tagged

PROTEIN 2
Biochemical and Biophysical Research Communications(IF=2.559)
文獻標題:
產品信息:
Recombinant Mouse High mobility group protein B1(Hmgb1),Mammalian cell (CSB-MP010553MO)
來源:Mammalian cell
標簽:N-terminal His-tagged and C-terminal Myc-tagged / N-terminal His-tagged / Tag-Free

ANTIBODY 1
Plant Cell(IF=8.228)
文獻標題:
產品信息:
SNB5 Antibody (CSB-PA341520XA01CXY)
種屬反應性:Caenorhabditis elegans
應用范圍:ELISA, WB

ANTIBODY 2
Journal of Cellular and Molecular Medicine(IF=4.302)
文獻標題:
產品信息:
TNFRSF10A Antibody(CSB-PA023964LA01HU)
種屬反應性:Human
應用范圍:ELISA, WB, IHC, IF, IP

ANTIBODY 3
Biochimica et Biophysica Acta-proteins and Proteomics(IF=2.609)
文獻標題:
Identification of serum biomarkers for premature ovarian failure.
產品信息:
SHBG Antibody (CSB-PA12289A0Rb)
種屬反應性:Human, Mouse
應用范圍:ELISA, WB


▼部分文獻引用產品
| Title | Author | Product Code | Journal | IF |
| TesG is a type I secretion effector of Pseudomonas aeruginosa that suppresses the host immune response during chronic infection | Zhao K, et al | CSB-EP346531EZX | Nature Microbiology | 14.174 |
| Role of Interleukin-35 in sublingual allergy immunotherapy | Shamji MH, et al | CSB-E13126h | Journal of Allergy and Clinical Immunology | 13.258 |
| MMP13 inhibition rescues cognitive decline in Alzheimer transgenic mice via BACE1 regulation | Zhu BL, et al | CSB-E08300m CSB-E10787m CSB-E08417h |
Brain | 10.84 |
| Wnt5a induces and maintains prostate cancer cells dormancy in bone | Ren D, et al | CSB-EL026138HU CSB-EL026138MO CSB-EL026139HU CSB-EL026131MO CSB-EL026131HU CSB-EL026132HU CSB-EL026132MO |
Journal of Experimental Medicine | 10.79 |
| The APETALA2-like transcription factor SUPERNUMERARY BRACT controls rice seed shattering and seed size | Jiang L, et al | CSB-PA341520XA01CXY | Plant Cell | 8.228 |
| Black Phosphorus Hydrogel Scaffolds Enhance Bone Regeneration via a Sustained Supply of Calcium-Free Phosphorus | Huang K, et al | CSB-E08082h CSB-E17298h CSB-E12935h |
Acs Applied Materials & Interfaces | 8.097 |
| Parabacteroides distasonis Alleviates Obesity and Metabolic Dysfunctions via Production of Succinate and Secondary Bile Acids | Wang K, et al | CSB-EL522052MO CSB-E08118m |
Cell Reports | 8.032 |
| HSP22 suppresses diabetes-induced endothelial injury by inhibiting mitochondrial reactive oxygen species formation | LingligYu, et al | CSB-E10527m | Redox Biology | 7.126 |
| Immunological methods for the diagnosis of oral mucosal diseases | Sun S, et al | CSB-E13422h | British Journal of Dermatology | 6.129 |
| Heterozygous knockout insulin-like growth factor-1 receptor (IGF-1R) regulates mitochondrial functions and prevents colitis and colorectal cancer | Wang SQ, et al | CSB-E04741m CSB-E04639m CSB-E07966m |
Free Radical Biology and Medicine | 6.02 |
| Effect of Wnt signal-RANKL/OPG axis on the enhanced osteogenic integration of a lithium incorporated surface | Tingben Huang, et al | CSB-E05125h CSB-E04692h |
Biomaterials Science | 5.831 |
| Altered levels of plasma neuron-derived exosomes and their cargo proteins characterize acute and chronic mild traumatic brain injury | Goetzl EJ, et al | CSB-E08254h CSB-EL016263HU CSB-EL005507HU CSB-EL004960HU |
Faseb Journal | 5.595 |
| Acute Responses of Novel Cardiac Biomarkers to a 24-h Ultra-Marathon | Zebrowska A, et al | CSB-E09594h | Journal of Clinical Medicine | 5.583 |
| Prenatal exposure to testosterone induces cardiac hypertrophy in adult female rats through enhanced Pkcδ expression in cardiac myocytes | Hou M, et al | CSB-E05100r CSB-E07879r |
Journal of Molecular and Cellular Cardiology | 5.296 |
| Activated protein C targets immune cells and rheumatoid synovial fibroblasts to prevent inflammatory arthritis in mice | Xue M, et al | CSB-E09914m | Rheumatology | 5.245 |
| Role of Chronic Administration of Antidepressant Drugs in the Prenatal Stress-Evoked Inflammatory Response in the Brain of Adult Offspring Rats: Involvement of the NLRP3 Inflammasome-Related Pathway | Trojan E, et al | CSB-EL004841RA | Molecular Neurobiology | 5.076 |
| Xylanase and Fermented Polysaccharide of Hericium caputmedusae Reduce Pathogenic Infection of Broilers by Improving Antioxidant and Anti-Inflammatory Properties | Sitong Zhang, et al | CSB-E11231Ch CSB-E11230Ch CSB-E12835C |
Oxidative Medicine and Cellular Longevity | 4.936 |
| Systemic and Metabolic Signature of Sarcopenia in Community-Dwelling Older Adults | Lu Y, et al | CSB-E07270h | Journals of Gerontology Series A-Biological Sciences and Medical Sciences | 4.902 |
| α-Lipoic acid prevents senescence, cell cycle arrest, and inflammatory cues in fibroblasts by inhibiting oxidative stress | Baeeri M, et al | CSB-E12026r | Pharmacological Research | 4.897 |
| Increased circulating levels of Epidermal growth factor-like domain 7 in pregnant women affected by preeclampsia | MicolMassimiani, et al | CSB-E15864h | Translational Research | 4.88 |
| Suppression of the IFN-α and -β Induction through Sequestering IRF7 into Viral Inclusion Bodies by Nonstructural Protein NSs in Severe Fever with Thrombocytopenia Syndrome Bunyavirus Infection | Hong Y, et al | CSB-E09889h | Journal of Immunology | 4.539 |
| Rapamycin improves bone mass in high-turnover osteoporosis with iron accumulation through positive effects on osteogenesis and angiogenesis | Wu J, et al | CSB-E11914m | Bone | 4.455 |
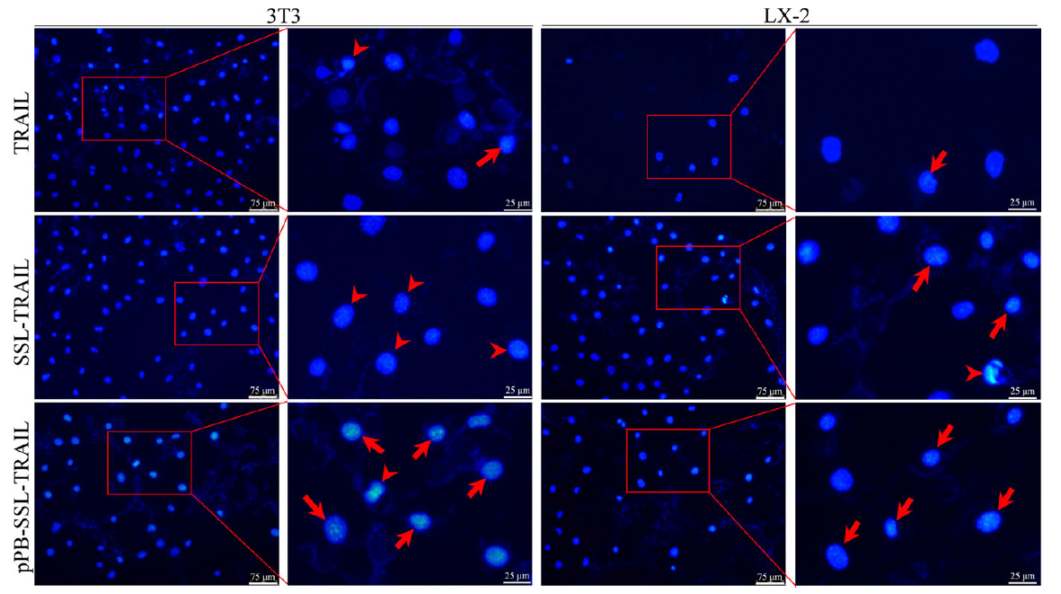
| Chemically modified liposomes carrying TRAIL target activated hepatic stellate cells and ameliorate hepatic fibrosis in vitro and in vivo | Li Q, et al | CSB-PA023964LA01HU | Journal of Cellular and Molecular Medicine | 4.302 |
| High antioxidant capability interacts with respiration to mediate two Alexandrium species growth exploitation of photoperiods and light intensities | WangHui, et al | CSB-E16686Pl | Harmful Algae | 4.138 |
| Effect of cooling on lung secretory phospholipase A2 activity in vitro, ex vivo and in vivo | Autilio C, et al | CSB-EL018091HU | American Journal of Physiology-lung Cellular and Molecular Physiology | 4.092 |
| ER stress contributes to high fat diet induced decrease of thyroglobulin and hypothyroidism | Zhang X, et al | CSB-E08240r | American Journal of Physiology-Endocrinology and Metabolism | 4.018 |
| All-trans retinoic acid suppresses bone morphogenetic protein 4 in mouse diabetic nephropathy through a unique retinoic acid response element | Tamaki M, et al | CSB-PA040163 | American Journal of Physiology-Endocrinology and Metabolism | 4.018 |
| Olmesartan ameliorates chemically-induced ulcerative colitis in rats via modulating NFκB and Nrf-2/HO-1 signaling crosstalk | Saber S, et al | CSB-EL002573RA CSB-E08854r |
Toxicology and Applied Pharmacology | 3.616 |
| Olea europaea leaf extract up-regulates Nrf2/ARE/HO-1 signaling and attenuates cyclophosphamide-induced oxidative stress, inflammation and apoptosis in rat kidney | ALHaithloul HAS, et al | CSB-E08857r CSB-EL006328RA |
Biomedicine & Pharmacotherapy | 3.457 |
| A pilot study on the effect of lactoferrin on Alzheimer’s disease pathological sequelae: Impact of the p-Akt/PTEN pathway | Mohamed WA, et al | CSB-EL010887HU | Biomedicine & Pharmacotherapy | 3.457 |
| ProNGF siRNA inhibits cell proliferation and invasion of pancreatic cancer cells and promotes anoikis | JianbiaoXu, et al | CSB-MA072309 | Biomedicine & Pharmacotherapy | 3.457 |
| Amphetamine-induced conditioned place preference and changes in mGlu1/5 receptor expression and signaling in the rat medial prefrontal cortex | Mao LM, et al | CSB-E13004r | Neuroscience | 3.382 |
| Kruppel like factor 6 splice variant 1 (KLF6-SV1) overexpression recruits macrophages to participate in lung cancer metastasis by up-regulating TWIST1 | Wang J, et al | CSB-E04658h CSB-E04568h |
Cancer Biology &Therapy | 3.373 |
| Effect of a chamomile extract in protecting against radiation-induced intestinal mucositis | Khayyal MT, et al | CSB-E08854r CSB-E08857r CSB-EL006328RA CSB-E13832h |
Phytotherapy Research | 3.349 |
| Immunosuppressive effects of the standardized extract of Zingiber zerumbet on innate immune responses in Wistar rats | Ghazalee NS, et al | CSB-EL013283RA CSB-E17811r |
Phytotherapy Research | 3.349 |
| Impact of Sleep Deprivation on the Hypothalamic-Pituitary-Gonadal Axis and Erectile Tissue | Lee DS, et al | CSB-E06869r CSB-E08037r CSB-E05112r CSB-E12654r CSB-E05100r |
Journal of Sexual Medicine | 3.339 |
| MTOR-Mediated Autophagy Is Involved in the Protective Effect of Ketamine on Allergic Airway Inflammation | Hongyun Zou, et al | CSB-E04639m CSB-E04602m CSB-E04594m CSB-E04741m CSB-E08914m |
Journal of Immunology Research | 3.298 |
| Grape Seed Proanthocyanidin Extract Alleviates AflatoxinB1-Induced Immunotoxicity and Oxidative Stress via Modulation of NF-κB and Nrf2 Signaling Pathways in Broilers | Shahid Ali Rajput, et al | CSB-E11231Ch CSB-E08550Ch CSB-E12835C CSB-E08549Ch |
Toxins | 3.273 |
| Elevated Serum S100A9 Indicated Poor Prognosis in Hepatocellular Carcinoma after Curative Resection | Jun Meng, et al | CSB-E11834h | Journal of Cancer | 3.249 |
| Soluble carcinoembryonic antigen cell adhesion molecule 1,6 and 8 in acute myeloid leukemia: their relation to survival and prognosis | Amal Zaghloul, et al | CSB-EL005157HU CSB-EL005166HU CSB-EL005168HU |
Life Science | 3.234 |
| ZAP70 deficiency promotes reverse cholesterol transport through MAPK/ERK pathway in Jurkat cell | Liu J, et al | CSB-E04740h CSB-E04577h CSB-E04626h CSB-E04638h |
Molecular Immunology | 3.188 |
| Glucocorticoid receptor in ayu (Plecoglossus altivelis): Genomic and non-genomic effects on monocytes/macrophages function | Ning YJ, et al | CSB-MC00371b0105 | Fish Shellfish Immunol | 3.185 |
| Liraglutide Ameliorates Hyperhomocysteinemia-Induced Alzheimer-Like Pathology and Memory Deficits in Rats via Multi-molecular Targeting | Zhang Y, et al | CSB-E13376r | Neuroscience Bulletin | 3.155 |
| Blastocysts depict sex-specific signalling of IFNT transcription, translation and activity | Schanzenbach CI, et al | CSB-PA011061LA01BO | Reproduction | 3.086 |
| The Relationship Between Serum Endocan Level and Aortic Elastic Properties in Patients With Newly Diagnosed Essential Hypertension | Çelik M, et al | CSB-E16530h | Angiology | 3.022 |
注:由于SCI各期刊被Google收錄的效率和頻率不一樣,很可能本月會收到一些較早時間發表的文章。此此處文章整理,只為方便科研人員了解CUSABIO產品。
為回饋廣大客戶長期以來對我司產品的高度信任和對公司的大力支持,現對訂購我司任意產品并提供相關數據或文獻的客戶,提供超值京東購物卡的獎勵。








